南安市石材輔料化工集中區控制性詳細規劃公示
《南安市石材輔料化工集中區控制性詳細規劃》經過廣泛調查、論證、深化,目前,規劃編制成果已完成,并通過專家評審。根據《中華人民共和國城鄉規劃法》規定,為切實增強規劃的合理性、可行性和科學性,現依法組織《南安市石材輔料化工集中區控制性詳細規劃》公示活動。
公示時間:2020年07月20日—2020年08月19日
公示地點:南安市水頭鎮人民政府
公示網站:南安市人民政府網(www.nanan.gov.cn/)
通訊地址:南安市水頭鎮人民政府
電子信箱:qyb86986737@163.com
聯 系 人:黃先生
聯系電話:13850753168
傳 真:0595-86985607
在公示期內,您可以通過以上聯系方式發表您的意見和建議。
附件:《南安市石材輔料化工集中區控制性詳細規劃》
南安市水頭鎮人民政府
2020年7月20日
南安市石材輔料化工集中區控制性詳細規劃
一、項目名稱
《南安市石材輔料化工集中區控制性詳細規劃》
二、規劃背景
1、項目建設背景
石材產業是南安的支柱產業,是水頭鎮快速發展的龍頭產業;在南安市“十三五”規劃中, 石材產業發展是其中重要一環,石材產業將圍繞“國際石材之都”而打造。但南安的石材輔料產業基本處于較為前期的胚胎發展階段,大部分的石材輔料銷售與倉儲并存,缺乏較為統一的輔料儲備倉庫,給周邊大氣環境、土壤造成一定程度的污染;同時若發生輔料發生燃燒容易引發火災并爆炸,給生命及財產造成威脅。為更好的指導南安市石材輔料化工集中區區的建設,滿足政府提出對建設石材輔料化工集中區的要求;因此編制《南安市石材輔料化工集中區控制性詳細規劃》以指導下一階段建設。
2、化學品類別
石材產業是南安的支石材產業的輝煌成就造就了其上下游產業的發展,其中“石材輔料產業”便是其中一環,石材輔料主要為防水產品:石材防水劑;粘結產品:石材專用粘結劑(標準型、加強型、超強型);填縫產品:石材專用填縫劑、云石膠 ;石材清潔護理及晶面翻新產品:亮石粉、花崗巖清潔劑、大理石清潔劑、石材防污光面蠟、花崗巖晶面膏、大理石晶面劑、石材增亮加硬劑。
三、項目概況
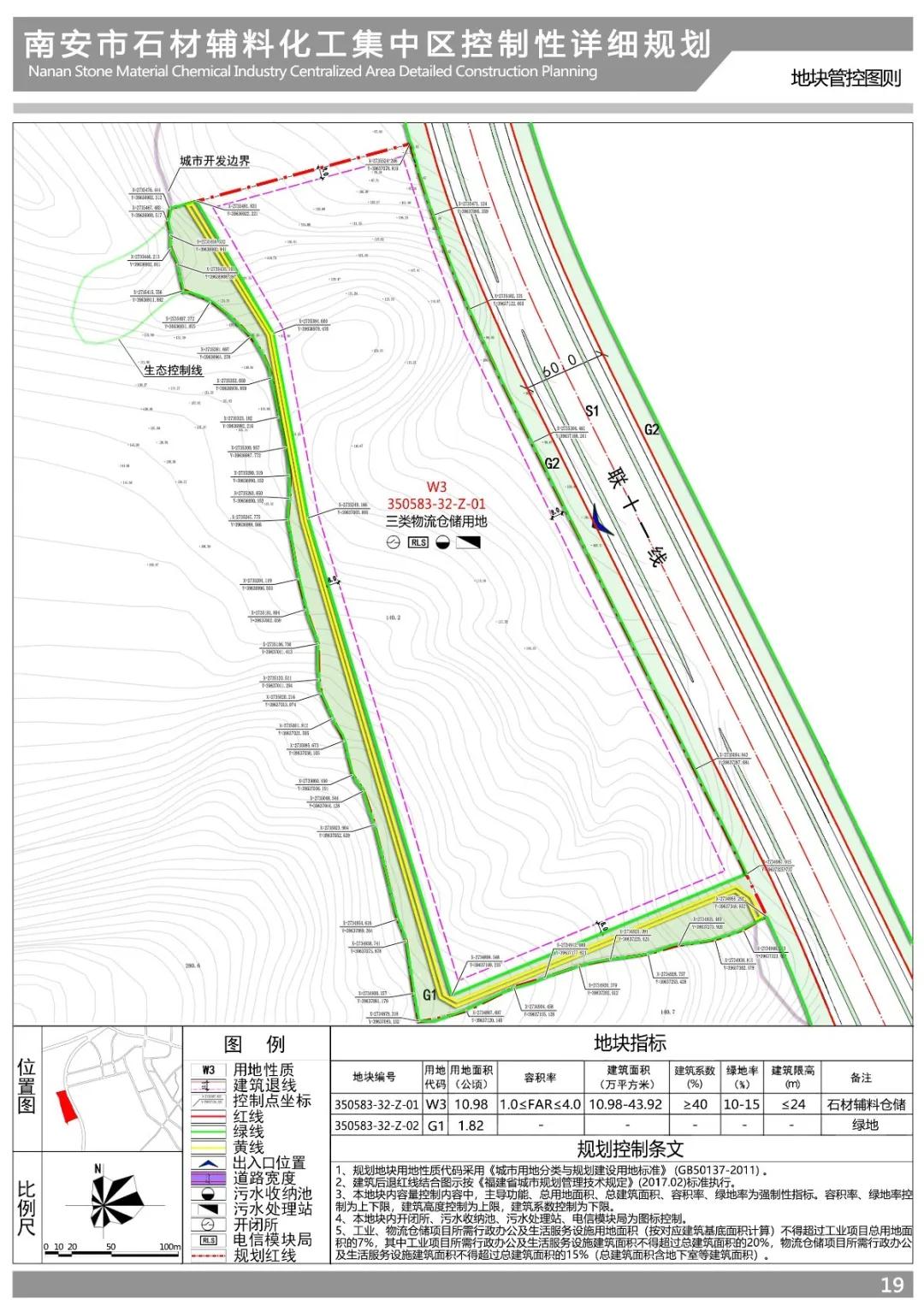
規劃區總面積12.80公頃(192畝),位于南安南翼新城區水頭鎮后坑村南側,處于聯十一線西側;在規劃紅線外,西側緊鄰城市開發邊界且不涉及生態控制線;周邊區域村民點主要分布在規劃區東北、東南方向,且在規劃范圍外西側370 m處設有220KV高壓線、北部110 m有海西天然氣管道德化支線、東南側1540 m有中石化成品油管道,均符合危化品的安全防護要求。(見附圖1:區位分析圖;附圖2:周邊重大基礎設施圖)
四、功能定位
以物流倉儲為主的石材輔料化工集中區。
五、用地布局
1、用地布局概況
規劃范圍內用地面積12.80公頃,為城市建設用地,主要含10.98公頃的三類物流倉儲用地,1.82公頃的公園綠地。
2、地塊控制指標





客服熱線:











